今日はタイラバで出船しました。天気はビミョーな曇り空…前日までの日差しは期待できず…肌寒い1日でした。後半雨は降りましたが風も強くなりませんでした。
釣果はやはり日差しが出ないことが影響したのか活性はあまりよくなかったです。あちこち移動しながらの拾い釣りになりました。
結果は激渋でしたが全員が真鯛の顔がみれました‼️
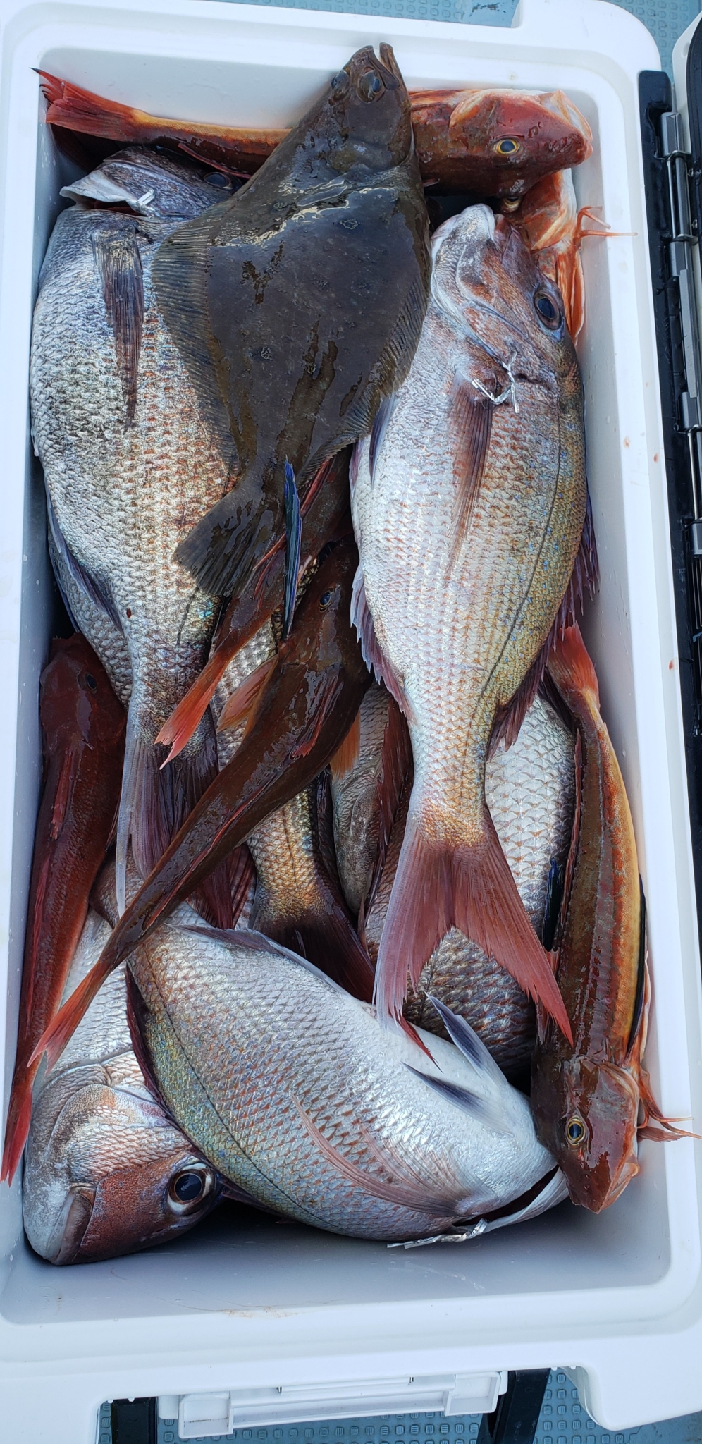
釣果は真鯛、キジハタ、ホウボウ、カサゴでした。


今日はタイラバで出船しました。天気はビミョーな曇り空…前日までの日差しは期待できず…肌寒い1日でした。後半雨は降りましたが風も強くなりませんでした。
釣果はやはり日差しが出ないことが影響したのか活性はあまりよくなかったです。あちこち移動しながらの拾い釣りになりました。
結果は激渋でしたが全員が真鯛の顔がみれました‼️
釣果は真鯛、キジハタ、ホウボウ、カサゴでした。


タイラバメインで出船しました‼️
朝は久しぶりに多少ウネリがあったものの天気もよく後半めちゃくちゃ暑い1日でした。
朝は雨などの影響で多少水温がさがったのか食いが渋かったです。しかし気温があがるにつれ青物のなぶらがでたりとあわただしくなり鯛の活性もあがりプチ入れ食いみたいな時もありました。
そしてラスト数分というところで今期初の80出ました‼️おめでとうございます🎵
今日釣れた鯛はまたまた色も綺麗な個体が多かったです。
バラシもかなりありましたが全員真鯛の顔をみれました‼️
今日の釣果は真鯛、トラフグ、ホウボウ、エソでした。












タイラバ、ジギングで出船しました。
今日は同じ会社の釣り好きのみなさんで貸し切りでした😊
毎月ありがとうございます🎵
みなさん和気あいあいと笑いのたえない感じで楽しんでもらいました❗タイラバ初体験の方も良い型を釣り満足してもらえたと思います。
アワセのタイミング、ドラグの調整が最初はなれないとバラしてしまう可能性が高いので慣れるまではアタリがでても竿が入りこむまで巻き続けてください❗
焦らない気持ちと折れない心を持ってまたの挑戦お待ちしております。
今回も全員真鯛の顔を見ることができました。








タイラバ、ジギングで出船しました。
今日も先日から調子のよかった水深をせめてみました‼️
開始そうそうヒットがあり今日も数釣りが楽しめました。型もよくまだまだ黒くなっていない個体もいました。
ヒットも多いですがバラシもなかなかの数でした(T_T)
全員真鯛の顔が見ることができました。
午後からのショート便も調子いいかなあと思いましたが…そんなに甘くはなかったです。
まだまだチャンスはあると思いますのでたくさんの挑戦者お待ちしております。
5月27日、5月30日、5月31日にちはまだまだ空きがあります。
6月1日、6月2日は柏崎浜祭のため休業します。



















タイラバで出船しました。
先日から浅場での釣果がよくなってきたのでスタートは浅場からはじめました。今回はタイラバ2回目の女性も乗船しました。
開始数分でアタリ、ヒットが続き小ぶりですが連チャンしました❗
まだそれほど黒くない綺麗な個体もいました。
その後ポイントを変えながら釣りをしました。
場所によってはなかなかの型もまじり見ていて気持ちのよい1日でした。
日々暑くなってきていますので暑さ対策をしながら釣りをしてもらいたいと思います🎵
明日25日土曜日は午後便ショートも出船したいと思います。午後からならと思う方は問い合わせください。







タイラバ、ジギングで出船しました。
朝イチは深い場所に行きました、今日はハチメが釣れず、ホッケ、マダラ、マゾイでした。
その後浅場に入りしばらくしたら入れ食いがはじまりました‼️
フォール中、キャスティングでの着水後、着底後すぐにアタリが出ました。バラシもたくさんありましたが数釣りが楽しめました。
型はまずまずでしたが美味しいサイズが釣れました。
夕マヅメパターンもなかなかのものです。
モンスター真鯛目指して挑戦者お待ちしております。





土日はタイラバ、ジギングで出船しました。
18日土曜日は朝から天気もよく暑いくらいの1日でした。またまた潮も微妙な感じで反応がありますが口を使わない状況でした。浅場から深場に移動してやっと魚の顔が見れました。結果、真鯛、アラ、鰤、ハチメ、クロソイなどでした。
19日日曜日はこれまた朝から天気もよく暑くなりました。スタートはキャスティングタイラバ等をまぜこみながらはじめました。しかしまたも口を使いません…
ポイントを多々移動しましたが結果がなかなかでないまま終了しました。
1日便を終了したあと夕方ショート便をやりました。
風は強かったですが結果バラシもありましたが真鯛のかおが見れました。
今後、午後からのショート便を出していきます。
短い時間ですが夕まづめの一発を狙えるチャンスかと思います。朝は苦手という方、短い時間でもいいという方、挑戦者お待ちしております。









船体整備が終わり綺麗になった船体で初日!
天気もよく暑い1日でした。しかし潮もあんまり動かず苦戦しました!
浅場、深場と移動し反応はあるものの口をなかなかつかいませんでした。
結果、真鯛はヒットはありましたがくいが浅くバラシがありました。
結果、鰤、ハチメ、カレイ、アラ、キダイ、ホウボウ、カナガシラ、クロソイなどでした。
暑い中1日お疲れ様でした。












日曜日から船体掃除にはいりました。
昨日は汚れ落とし、カジのFRP補修、塗装前の下地処理をしました。
今日は午後から雨予報だったので気合いをいれて作業をしてなんとか雨がふるまえに終わることができました。
手伝いをしていただいた方には感謝です。ありがとうございました。
明日残りの作業をします。



タイラバ、ジギングで出船しました❗
今日は浅場30mくらいからスタートしました。中層にういている反応がたくさんあり期待しましたがアタリはあるものの厳しい状況でした。
沖にくらべたら水温は上がっていてベイトもたくさんいるのに……やっぱり魚の気持ちはわかりません……スイッチはいつはいるのか…
その後深場に移動しました❗前日は青物の襲撃をかなりうけ真鯛がなかなか釣れませんでした……今日は………😅
やっぱりいました青いヤツ❗嬉しい悲鳴ですがたまには赤いヤツと思いました。
しかし数はのびませんでしたが真鯛の顔がみれたのでよかったです。青物も冬ほど脂はのってませんが大変美味しいです🎵
その他いつものレギュラー魚、キダイ、ホウボウ、カレイの釣果でした。
個人的にはホウボウの刺身とカレイのフライ煮付けは大好物です!
今日は帰港してから船を陸揚げして明日から船体整備、掃除、塗装にはいります。
次回出船は17日木曜日からになります。週末まだまだ空きがありますのでモンスター真鯛、その他美味しい魚を求め挑戦者お待ちしております❗
※写ってるザルの中のイワシは朝、港で釣りをしていたお客様にいただいたものです❗ありがとうございました。




